SANTA LUCÍA 810
top-banner image
Proceso de Consulta Vecinal

Proyecto Santa Lucía 810: Zitaria

numbers photo
62,676 M2 de construcción total 1 Plaza comercial 296 Departamentos Áreas Verdes
Acerca de

Santa Lucía 810: Zitaria

Ubicación del proyecto

El proyecto Santa Lucía 810: Zitaria estará ubicado en la Av. Santa Lucía No. 810, colonia Hogar y Redención de la Alcaldía Álvaro Obregón, C.P 01450, en la Ciudad de México.

Descripción del proyecto

Santa Lucía 810: Zitaria, es un proyecto conformado por un área de usos mixtos para el comercio y la oferta de servicios, así como por una zona habitacional distribuida en 10 torres departamentales y un complejo de locales comerciales.

approach image
approach image
approach image

Estatus del proyecto

Este proyecto no está autorizado, está sujeto a evaluación por las dependencias

Dependencia Estatus Estatus Número de folio
SEDUVI Certificado de Zonificación de Uso de Suelo Trámite 1898-151DEMO21
Dictamen de Impacto Urbano Concluido 5046-121DEPA21
Dictamen para la Constitución del Polígono de Actuación Concluido SEDUVI/CGDU/D-POL/013/2020
SEMOVI Visto Bueno Obras de mitigación en Movilidad En Proceso
Visto Bueno Proyecto de Obras de Mitigación en Movilidad En Proceso
Visto Bueno de Obras de Mitigación en Medio Ambiente En Proceso
Visto Bueno de Proyecto de Obras de Mitigación en Medio Ambiente En Proceso
SACMEX Dictamen de Factibilidad de Servicios Avenida Santa Lucía 810 Concluido SACMEX F-1599/18
Convenio de Obras de Reforzamiento Concluido RE: DV/11119/2018
Sistema alternativo En proceso
PROTECCIÓN CIVIL Estudio de riesgos En Proceso SACMEX F-1599/18
SEDEMA Evaluación de Impacto Social y Proceso de Consulta Vecinal En proceso
Manifestación de Impacto Ambiental En revisión
Plan de Manejo de Residuos de la Construcción y Demolición para trámites en materia de Impacto Ambiental En revisión
ALCALDÍA Constancia de Alineamiento y/o Número Oficial Concluido 4616-2020
SACMEX/SEMOVI/SGIRPC/SEDUVI/SEDEMA Solicitud de Registro para la Construcción de Proyectos de Construcción en Vías Primarias y de Acceso Controlado en la Ciudad de México En revisión
middle-banner image
Descripción del Proyecto

Santa Lucía 810: Zitaria

Conjunto de usos mixtos: Plaza comercial local de servicios

El conjunto de usos mixtos estará conformado por una plaza comercial local de servicios con estructura descubierta en la que se concentran establecimientos de comercio y oferta de servicios, un estacionamiento subterráneo, un cicloestacionameinto, zonas verdes y una gasolinera existente.

Asimismo, en el predio donde se prevé la plaza comercial local de servicios, se construirá un área de acceso en forma de isla con una superficie de 10.89 m. El diseño de esta área está provisto como un espacio semipúblico que dé preferencia al peatón a través de accesos vehiculares y de la aplicación de una restricción de 5 m al frente del predio para la instalación de un biciestacionamiento con capacidad para 64 bicicletas.

En cuanto los comercios y áreas de servicios que concentran la plaza comercial local de servicios se encuentran:

  • Gasolineras bombas existentes
  • Locales comerciales
  • Oficinas gasolineras
  • Bancos
  • Restaurantes
  • Servicios y comida
  • Gimnasio
  • Salón de fiestas
  • Salas de cine
  • Núcleos de escaleras servicios sanitarios y circulaciones

Asimismo, la plaza comercial local de servicios, además de escaleras de concreto, contará con elevadores y un conjunto de escaleras y rampas eléctricas, las cuales comunicarán el área comercial con el sótano del estacionamiento.

Área habitacional

El área habitacional contará con 10 torres de departamentos y un complejo de locales comerciales con una superficie ocupada de 465.15 m2. Dicha área será destinada para comercios y servicios básicos que den atención principalmente al área habitacional conforme a lo señalado en el Programa Delegacional de Desarrollo Urbano de la Alcaldía Álvaro Obregón.

El desarrollo del área habitacional proyecta la construcción de 296 departamentos distribuidos en 10 torres que, tomando como base el nivel medio de banqueta (B.N.B) de Avenida Santa Lucía, contarán con una altura máxima de siete niveles sobre el nivel de banqueta y dos niveles habitacionales debajo de él 1.

1 El predio en el que se desarrollará el proyecto “Santa Lucía 810: Zitaria” presenta una pendiente descendente de poniente a oriente por lo que para el Nivel Medio de Banqueta se presenta información adicional.

Etapas del proyecto

Preparación del sitio y construcción

Actualmente, el predio en el que se construirá el conjunto de usos mixtos y el área habitacional cuenta con las siguientes edificaciones:

  • Áreas bodegas de herramientas
  • Áreas de mini bodegas
  • Área de caseta de vigilancia
  • Oficinas, locales comerciales, tienda de conveniencia OXXO.
  • Agencia de vehículos Chevrolet y cafetería
  • Gasolinería
  • Área de estacionamiento descubierto: El área ocupa una superficie de terreno de 13,384.28 m2, en la que se ubican 230 cajones de estacionamiento que dan servicio a diferentes oficinas y locales comerciales que se encuentran al interior del predio y pensión a camiones escolares y de carga.

Sin embargo, para el desarrollo del proyecto se requiere demoler la totalidad de las construcciones anteriormente mencionadas, a excepción de la gasolinera. Dicha zona abarca un área de tanques de almacenamiento que se encuentran bajo el nivel banqueta y que no modifican la ubicación conforme a la Licencia de Construcción correspondiente. El área total de demolición será de 4,697.89 m2.

Una vez realizado el trabajo de demolición, el conjunto contará con una superficie total construida para uso de gasolinera de 439.20 m2 con una superficie de terreno de 1,081.50 m2 que incluye un área de tanques de almacenamiento bajo el nivel de banqueta.

Tabla 1 Datos generales del Proyecto Santa Lucía 810

Datos generales del proyecto
Superficie del predio 17,123 m2
Demolición 4,376.31 m2
Excavación 111,615.28 m3

Fuente: Elaboración ASI con datos de la Memoria Descriptiva del Proyecto Santa Lucía 810: Zitaria

El proyecto “Santa Lucía 810: Zitaria” contará con la siguiente distribución de áreas totales:

Tabla 2 Distribución de áreas "Santa Lucía 810: Zitaria"

Área
Área Habitacional
Área total construida sobre nivel de banqueta en vivienda 20,659 m2
Área total construida bajo nivel de banqueta en vivienda 8,820.54 m2
Área total construida vivienda 29,479.54 m3
Comercio
Área total construida sobre nivel de banqueta en comercio 19,736.68 m2
Área total construida comercio 33,197.07 m2
Área total construida 62,676.61 m3

Fuente: Elaboración ASI con datos de la Memoria Descriptiva del Proyecto Santa Lucía 810: Zitaria

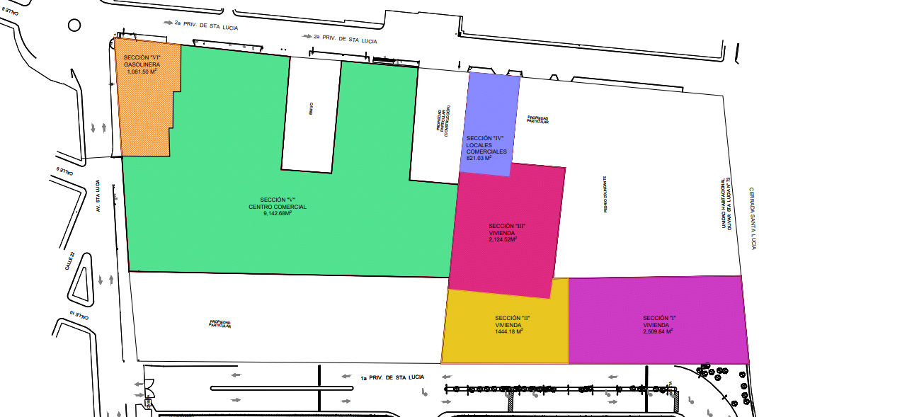
En cuanto el proceso constructivo del proyecto Santa Lucía 810: Zitaria, su ejecución está planeada en seis etapas distribuidas de acuerdo con el siguiente plano:

Imagen 1 Plano de distribución del proyecto Santa Lucía 810: Zitaria

Fuente: Memoria Descriptiva del Proyecto Santa Lucía 810: Zitaria

Adicionalmente, cada una de las etapas del proceso constructivo cuenta con las siguientes superficies de terreno:

Tabla 3 Superficie del terreno por etapa del proceso constructivo

Etapa Área de Terreno Escritura Área construida
Etapa I 2,509.84 m2 14,043.51 m2
Etapa II 1,444.18 m2 6,536.87 m2
Etapa III 2,124.52 m2 8,898.96 m2
Etapa IV 821.03 m2 465.18 m2
Etapa V 9,142.68 m2 32,083.07 m2
Etapa VI 1,081.50 m2 649.02 m2
Superficie total 17,123.75 m2

Fuente: Elaboración ASI con datos de la Memoria Descriptiva del Proyecto Santa Lucía 810: Zitaria

Asimismo, cada una de las etapas del proceso constructivo contará con el siguiente desglose de áreas:

Tabla 4 Desglose de áreas del proyecto Santa Lucía 810: Zitaria

Duración de construcción * Sección Área por construir Número de viviendas Área rentable Área de Indivisos Área sótano estacionamiento
24 meses Sección I Vivienda Torre I 32 8,800.78 m2 1,101.97 m2 4,140.86 m2
Torre II 24
Torre III 32
Torre IV 30
Torre V 28
15 meses Sección II Vivienda Torre VI 30 3,461.21 m2 742.98 m2 2,332.73 m2
Torre VII 32
18 meses Sección III Vivienda Torre VIII 32 5,922.86 m2 629.20 m2 2,346.95 m2
Torre IX 28
Torre X 28
24 meses Sección IV Locales comerciales - 465.18 m2 - -
Sección V Centro comercial - 13,738.37 m2 4,884.31 m2 13, 460.39 m2
Sección VI Gasolinera - 649.02 m2 - -

La construcción del proyecto tiene una duración estimada de 48 meses. Asimismo, las fases de construcción no son consecutivas, pues algunas de ellas transcurren en tiempo paralelo.

Fuente: Elaboración ASI con datos de la Memoria Descriptiva del Proyecto Santa Lucía 810: Zitaria

La siguiente tabla muestra el total de departamentos con los que contará cada una de las diez torres. Esta información es desglosada por nivel:

Tabla 5 Resumen de departamentos por torre

Ubicación Torre I Torre II Torre III Torre IV Torre V Torre VI Torre VII Torre VIII Torre IX Torre X
Sótano 2 4 deptos. 3 deptos. 4 deptos. 2 deptos. 4 deptos. 0 0 0 0 0
Sótano 1 4 deptos. 3 deptos. 4 deptos. 4 deptos. 4 deptos. 2 deptos. 4 deptos. 4 deptos. 4 deptos. 4 deptos.
Nivel 1 4 deptos. 3 deptos. 4 deptos. 4 deptos. 4 deptos. 4 deptos. 4 deptos. 4 deptos. 4 deptos. 4 deptos.
Nivel 2 4 deptos. 3 deptos. 4 deptos. 4 deptos. 4 deptos. 4 deptos. 4 deptos. 4 deptos. 4 deptos. 4 deptos.
Nivel 3 4 deptos. 3 deptos. 4 deptos. 4 deptos. 4 deptos. 4 deptos. 4 deptos. 4 deptos. 4 deptos. 4 deptos.
Nivel 4 4 deptos. 3 deptos. 4 deptos. 4 deptos. 4 deptos. 4 deptos. 4 deptos. 4 deptos. 4 deptos. 4 deptos.
Nivel 5 4 deptos. 3 deptos. 4 deptos. 4 deptos. 4 deptos. 4 deptos. 4 deptos. 4 deptos. 4 deptos. 4 deptos.
Nivel 6 4 deptos. 3 deptos. 4 deptos. 4 deptos. 4 deptos. Núcleo escalera azotea 4 deptos. 4 deptos. 4 deptos. 4 deptos.
Nivel 7 Núcleo escalera azotea Núcleo escalera azotea Núcleo escalera azotea Núcleo escalera azotea Núcleo escalera azotea 4 deptos. 4 deptos. 4 deptos. Núcleo escalera azotea Núcleo escalera azotea
Nivel 8 0 0 0 0 0 Núcleo escalera azotea Núcleo escalera azotea Núcleo escalera azotea 0 0
Total deptos. 32 deptos. 24 deptos. 32 deptos. 30 deptos. 28 deptos. 30 deptos. 32 deptos. 32 deptos. 28 deptos. 28 deptos.

Fuente: Elaboración ASI con datos de la Memoria Descriptiva del Proyecto Santa Lucía 810: Zitaria

Adicionalmente, se muestra el desglose del total de cajones de estacionamiento para cada una de las áreas que integran el proyecto

Tabla 6 Desglose de cajones de estacionamiento para el proyecto Santa Lucía 810: Zitaria

Estacionamiento para vehículos motorizados Estacionamiento bicicletas
Área Habitacional
Sótano 4 54 cajones 33 cajones
Sótano 3 141 cajones 43 cajones
Sótano 2 117 cajones 50 cajones
Total 312 cajones 126 cajones
Área de uso mixto
Sótano 2 222 cajones -
Sótano 1 193 cajones 110 cajones
Total 415 cajones 110 cajones

Fuente: Fuente: Elaboración ASI con datos de la Memoria Descriptiva del Proyecto Santa Lucía 810: Zitaria

Área de Desplante

Debido a que el predio en el que se desarrollará el proyecto “Santa Lucía 810: Zitaria” presenta una pendiente descendente de poniente a oriente sobre Av. Santa Lucía, el acceso a la Plaza Comercial Local de Servicios se determinó el nivel medio de banqueta N.P.T.± 0.00, el desplante de la gasolinera existente se considera en el nivel de Sótano 1 N.P.T. -2.50

Imagen 2 Distribución por niveles – área de usos mixtos

Fuente: Fuente: Elaboración ASI con datos de la Memoria Descriptiva del Proyecto Santa Lucía 810: Zitaria

Los locales comerciales en el área habitacional se desplantan en el nivel N.P.T. -3.20 que corresponde al nivel Sótano-1 y cuenta con una pendiente descendente de Norte a Sur.

Por su parte, el área habitacional está distribuida de acuerdo con los siguientes niveles.

Imagen 3 Distribución por niveles área habitacional

Fuente: Memoria Descriptiva del Proyecto Santa Lucía 810: Zitaria

Operación y mantenimiento

Una vez concluido el proceso constructivo, el conjunto de usos mixtos proyectado como Plaza Comercial Local de Servicios contará con lo siguiente:

  • Gasolinera y bombas existentes
  • Locales comerciales
  • Oficinas gasolinera
  • Bancos
  • Restaurante
  • Servicios y comida
  • Gimnasio
  • Salón de fiestas
  • Salas de cine
  • Núcleos de escaleras servicios sanitarios y circulaciones

El área comercial del conjunto se ha diseñado en forma de un jardín interior con espejos de agua, áreas verdes y de mobiliario para el desarrollo de actividades lúdicas y recreativas.

El acceso principal al área de uso mixto para comercio y servicios será a través de la Av. Santa Lucía al Norte, con un acceso vehicular al sótano y tres salidas vehiculares al oriente hacia 1a. Cerrada de Sta. Lucía. Para el uso habitacional se cuenta con dos accesos y salidas al poniente hacia la 2a. Cerrada de Sta. Lucía. Debido a que la Cerrada de Santa Lucía, ubicada al sur del predio, es de acceso controlado, su uso se contemplará exclusivamente para iluminación y ventilación, por lo que no contará con acceso peatonal o vehicular al predio.

Accesibilidad para personas con discapacidad

El acceso peatonal principal de la Plaza Comercial Local de Servicios contará con una rampa para personas con discapacidad. Asimismo, la plaza proporcionará 44 cajones de estacionamiento para personas con discapacidad, equivalente a 1 cajón con señalización espacial por cada 25 cajones de estacionamiento.

Al interior del centro comercial se contará con dos baños para personas con discapacidad por nivel y el proyecto contará con rampas eléctricas de subida y bajada, así como elevadores que aseguren la accesibilidad universal a todos los niveles

En cuanto el área habitacional, proporcionará rampas, las cuales serán accesibles para visitantes y residentes. Dichas rampas contarán con conexión desde el vestíbulo principal a los vestíbulos de todas las torres, así como a los jardines del conjunto. Adicionalmente, en esta área se proporcionarán un total de 14 cajones de estacionamiento para personas con discapacidad y se contará con elevadores a fin de asegurar la accesibilidad universal en todas las viviendas.

Abandono del sitio

De acuerdo con los materiales y técnicas de construcción proyectados, se estima que el proyecto Santa Lucia 810: Zitaria, tendrá una vida útil probable de más de 50 años, contemplando el constate mantenimiento preventivo y, en su caso, el trabajo correctivo que asegure su óptimo funcionamiento y alargue su vida útil.